The Austin Court of Appeals recently issued a decision in #1STR, LLC v. White, a case that illustrates the difficulty landowners face in proving the existence of an easement by necessity. [Read Opinion here.]
Background
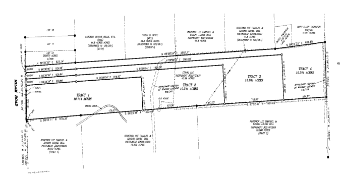
The White’s owned land in Bastrop County, which they partitioned into 10 tracts, one for each of their 10 children, in 1948. Once partitioned, the ten tracts were laid out as shown below:

Harry White owns Tract No. 7, shaded in the photo above.
In 2021, CTX4R bought Tract No. 4 and subdivided it into four separate lots each having access to Milam Lane on the west side of the property in a pattern called “flag lots” as shown below. It then deeded the subdivided Tract No. 4 to STR.

Litigation
In September 2022, Harry White sued STR seeking to establish an easement by necessity to access his landlocked Tract No. 7.
White claimed Tract No. 7 was landlocked and had been since it was partitioned in 1948; his property was contiguous to the STR property; the easement sought was not a mere convenience but a necessity; and throughout the years his land was accessed at all times by crossing STR’s property. He sought an easement along the “pole” of STR’s property to Milam Road. He filed a motion for summary judgment.
STR responded arguing while White “may be entitled to an easement by necessity over someone’s property to access a road,” he did not establish clearly as a matter of law his entitlement to the easement he sought over its property. STR introduced several pieces of evidence, including an application for ag use valuation with the County Appraisal District instructing entry to White’s property should be made via “Old Red Rock Road” or “Farm Road 20 to Road 342.” STR introduced an affidavit from a prior Tract No. 4 owner stating there was no indication of prior use of STR’s property to access Tract No. 7. Surveys and maps showed roadway easements through other locations on Tract Nos. 1, 2, 3, and 4.
The trial court sided with White, granting his Motion for Summary Judgment. The court granted a perpetual and irrevocable easement across STR’s property to Milam Road for the purpose of providing free, uninterrupted, and unrestricted pedestrian and vehicular ingress from Milam Road to Tract No. 7 and egress from Tract No. 7 to Milam Road. In a supplemental order, the court set out the specific metes and bounds of the easement.
STR appealed.
Appellate Court Opinion
The Austin Court of Appeals reversed and remanded the case. [Read Opinion here.]
STR argued the court erred in granting summary judgment because White presented no evidence regarding the proper location and size of the easement. White, SRT argued, was not entitled to the precise easement over STR’s property in the exact location he wants or deems most convenient. Further, STR argued, the record actually contradicts the location White chose for the easement.
To successfully prove an easement by necessity, White must show: (1) unity of ownership of the alleged dominant and servient estates prior to severance; (2) the claimed access is a necessity and not a mere convenience; and (3) the necessity existed at the time the two estates were severed. To prove necessity, the party must show he “lacks any alternative route to legally access the public roadway from his property.” The scope of an easement by necessity should “be no more than is reasonably necessary to the use and enjoyment of the property as it existed at the time the dominant and servient estates were severed.” The right to select the location of the easement initially belongs to the servient owner at the time the dominant estate is created, which must be exercised in a reasonable manner. If the servient owner fails to identify the easement location, the owner of the dominant estate may locate the easement by necessity.
On appeal, STR does not dispute that White established unity of ownership and necessity. STR, however, argues White failed to establish as a matter of law he was entitled to the easement the court granted. White claims Milam Road is the nearest roadway and since no Tract No. 4 owner ever located the easement elsewhere, he could select the location.
Assuming Milam Road was located where it currently is in 1948 when the land was severed, the evidence shows other potential servient properties for providing access to the road, such as Tract Nos. 5 and 6. White did not present evidence about the lack of alternate routes for accessing the roads such as why those tracts were unavailable for providing access. He did not prevent evidence that anyone was attempting to access his property in 1948. Further, STR provided evidence from the County Appraisal District that White had access to his property, but not by way of the easement it proposed to the court. White offered no contrary evidence as to why he was no longer able to access his property the way he had in the past. Evidence also showed other express easements for tracts to access the public roads, and no evidence White had used the flag-pole portion of STR’s property in the past to access Milam Road.
The court held White did not prove the elements of easement by necessity as a matter of law, and the trial court erred in granting summary judgment.
What Happens Next?
White could appeal this case to the Texas Supreme Court. If he does not appeal, or if the Supreme Court declines to hear the case, it will go back to the trial court and litigation will proceed now that the motion to dismiss has been denied.
Key Takeaways
I say this all the time at presentations and people still seem shocked, but property absolutely can be landlocked in Texas. There is no automatic right of access to landlocked property. Instead, a landlocked owner must prove the legal elements sufficient for the court to impose an implied easement. Here, at least on summary judgment, White was unable to do so.
If you own property that is landlocked, or if you are crossing someone else’s land on a handshake agreement, it is absolutely critical that you get an express, written easement from the other landowner and record that in the deed records.
For more information about landlocked property, check out this podcast episode with Cassie Gresham.











